Bão Noru đổ bộ, Philippines đóng cửa trường học và cắt điện
- Minh Ngọc
- •
Tổng thống Philippines Ferdinand Marcos đã tuyên bố tạm dừng các công việc hành chính của chính phủ và đóng cửa trường học vào thứ Hai (26/9) do một cơn bão nhiệt đới cấp 3 di chuyển qua hòn đảo Luzon, sau khi đổ bộ vào phía Đông Bắc thủ đô Manila.
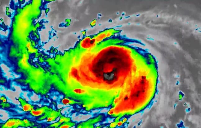
Latest track of Super Typhoon #Noru (#KardingPH) as it nears landfall over Luzon, #Philippines 🇵🇭 with winds of 240 km/h.
Tracker → https://t.co/WHX8LvqBDn pic.twitter.com/PhCwiGPqzh
— Zoom Earth (@zoom_earth) September 25, 2022
Cơ quan Khí tượng Philippines cho biết gần 8.400 người đã được sơ tán theo hướng di chuyển của siêu bão Noru.
Theo thông báo của Cơ quan Dịch vụ khí quyển, địa vật lý, khí tượng Philippines (PAGASA) vào 5 giờ ngày 26/9, bão Noru đã suy yếu với sức gió duy trì 140 km/h tại vùng gần tâm bão và gió giật 170 km/h. Mắt bão đã di chuyển ra vùng bờ biển phía bắc tỉnh Zambales ở miền Tây đảo Luzon, đi về hướng Tây, hướng vào Biển Đông, với vận tốc 30 km/h.
Mặc dù suy yếu nhưng bão Noru được dự báo tiếp tục gây mưa lớn tại các tỉnh miền Tây đảo Luzon như Zambales, Bataan hay Tarlac cho đến trưa ngày 26/9.
Các chuyến bay đã bị hủy, các chuyến phà tạm dừng, các tuyến xe buýt đóng cửa do mưa lớn và gió mạnh làm đổ cây và đường dây điện.
Tổng thống Marcos tuyên bố tạm dừng công việc hành chính và đóng cửa các trường học tại Luzon, nơi sinh sống của khoảng một nửa dân số 110 triệu người của đất nước và cũng đóng góp hơn 2/3 cho nền kinh tế.
Bộ năng lượng đã đặt tất cả các cơ sở liên quan đến năng lượng ở các khu vực bị ảnh hưởng vào tình trạng báo động cao độ, ông Marcos cho biết trên Facebook.
Sở giao dịch chứng khoán Philippines cho hay, các giao dịch chứng khoán cũng sẽ tạm đình chỉ vào ngày 26/9 do mưa lớn làm ngập vùng thủ đô và các tỉnh lân cận.
“Các cột tiện ích bị đổ và những ngôi nhà làm bằng vật liệu nhẹ gần bờ biển bị hư hại,” ông Nelson Egargue, người đứng đầu cơ quan thiên tai tỉnh Aurora nơi Noru đổ bộ, nói với đài phát thanh DZRH.
Wild video from Polillo, Quezon, Philippines as the eyewall of Super Typhoon #Noru (#KardingPH) came ashore bringing life threatening storm surge and violent winds. pic.twitter.com/36EN2fH3aE
— Colin McCarthy (@US_Stormwatch) September 25, 2022
Những con sóng lớn đã tấn công vào các cảng, hình ảnh và video trên mạng xã hội cho thấy, nhiều khu vực trũng thấp đã bị ngập lụt.
Ông Eliseo Ruzol, thị trưởng thị trấn ven biển General Nakar, gần vị trí đổ bộ của Noru, nói với DZRH: “Hiện tại gió đã dịu hơn nhưng trời rất tối vì chúng tôi không có nguồn cung cấp điện.”
Philippines, một quần đảo gồm hơn 7.600 hòn đảo, được xếp hạng trong số các quốc gia dễ bị tổn thương nhất trước tác động của biến đổi khí hậu – phải hứng chịu trung bình 20 cơn bão mỗi năm. Vào năm 2013, cơn bão Haiyan, một trong những cơn bão nhiệt đới mạnh nhất từng được ghi nhận, đã khiến 6.300 người thiệt mạng.
Noru là cơn bão số 11 và là cơn bão mạnh nhất đổ bộ Philippines từ đầu năm tới nay. Siêu bão Noru dự kiến ra khỏi Khu vực trách nhiệm của Philippines (PAR) vào tối 26/9, đi vào biển Đông và hướng tới Việt Nam.
Từ khóa Philippines siêu bão Noru



